CASE STUDY FEB 12, 2026

Selling timber in Morrow County near Cardington

From a low-ball $5,000 offer to a $27,200 sale in just 36 days

If you’ve spent any time reading our Timber Talk blog here, then you know that we have one piece of advice for everyone who is thinking about selling hardwood timber in Ohio. 

Our advice is to
Never trust a timber buyer or logger

For a clear illustration of why we warn everyone this way, we’ll show you what a logger tried to do to one of our clients before we stepped in to help him.

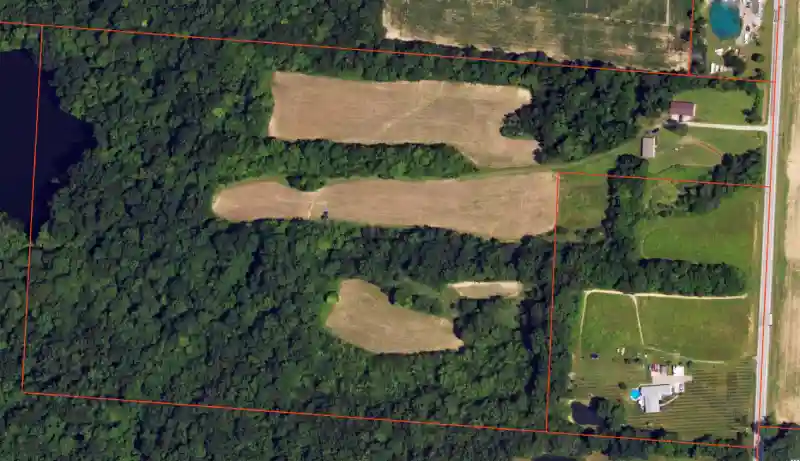
On January 7, 2026 a man submitted his contact information through our website and asked us to call him. When we did, he told us that he owned 33 acres of land with a 22-acre stand of timber in Morrow County near Cardington.  After viewing it on a aerial map we confirmed that he most likely did have merchantable timber, and we asked what he wanted to do with it. 

He explained that he wanted to sell some timber and already had an offer in hand, but that it seemed too low for him and wanted our opinion on it.

The offer was for $5,000. Keep that number in mind as you read further.  

This is what we saw on the satellite map.

The landowner had a firm offer, but not an accurate inventory of his timber. In fact the logger hadn’t given him an inventory at all – just an offer for the right to cut and haul away all the trees he wanted.

We made an appointment to walk the property to see what was there and what he could expect to receive in a sale if conducted in an orderly, competitive bidding environment.

The following Saturday we visited the stand and afterward told the landowner that we were confident that we could find $20,000 of timber there to harvest without cutting it too heavily. 

This is on the low end of the spectrum for us, but a certain disclosure the landowner made to us compelled us to want to do all we could to help him.  

The disclosure was this:
The landowner has a life-threatening illness and needs to get a maximal yield from this sale to help him arrange for a long-term stay in a medical facility.

Getting an accurate timber inventory and selecting the trees to sell

We came back to the property the next day and marked 179 trees to be harvested, or about ten trees per acre from the 17-acre harvest area on the 33 acre property. The stand holds a decent number of hard maple trees, and a few mature red oaks that we knew would comprise most of the value in a small sale like this. 

Hardwood timber inventory

Species Trees Total BFV % of BFV Average DBH
Beech
2
1,355
3
28
Black Oak
1
225
0.5
20
Cottonwood
24
5,934
13.1
19.8
Cherry
2
125
0.9
19
Grey Elm
2
457
1
21
Hickory
14
4,728
10.5
22.1
Sugar Maple
77
16,624
30.2
18.7
Northern Red Oak
16
6,510
14.4
23.1
Red Maple
17
4,195
9.3
18.7
Pin Oak
15
4,204
9.3
21.9
Walnut
3
783
1.7
20
White Oak
3
2,746
6.1
26.7
TOTAL
179
45,186
100
20.4

BFV = Board Feet Volume, which calculates the amount of lumber potential in a stand 
DBH =  Diameter at Breast Height, which is the standard way to take this measurement 

Putting the timber up for sale and seeking competitive bids

You know the low offer the local logger made for this timber, and so did we. So we knew we couldn’t just offer it to other local buyers and expect anything much better. Instead we had to cast a wider net.

We prepared a formal Notice of Standing Timber Sale and sent it  to two dozen sawmills and loggers within a 100-mile radius. 

All the loggers received notice of the sale on January 12, 2026 and were given 30 days to visit the property and asses the quality and accessibility of the timber offered for sale. 

Sealed bids were due at our offices by noon on February 12, 2026 and we received bids from 5 loggers in these amounts:

Bid amount $ per BF
$27,200
.601
$20,555
.454
$17,997
.398
$16,106
.356
$15,999
.354

Competitive bidding makes a huge difference

Remember the $5,000 low-ball bid from the original logger?

The lowest bid received in this sale is more than 3 times higher than his bid.

And the highest bid is almost 5.5 times higher than the local logger offered.

As we’ve said here many times before, you simply cannot expect to receive full value for your timber when you deal directly with loggers.

Nor can you hope to get local loggers to outbid each other on your own. Each of the loggers who bid is sale is located at least 60 miles away from our client’s property. 

The seller has of course accepted the high bid, and has already received a check from the logger for a 50% down-payment of $13,600. He will receive the final payment of $13,600 before we allow the harvest to begin.

Since this is a winter sale the logger will want to complete it before the ground begins to thaw, so he will most likely start within 30 days.

What happens after the timber sale

Once logging begins, we will make multiple unannounced visits to the site to inspect the logger’s work, and to ensure that no trees other than the ones we marked for sale are taken. We will also ensure that the logger is following Ohio’s Best Management Practices for Erosion & Forestry Practices

We have also taken a cash performance bond from the logger that we will not return to him until we, and the landowner, are 100% satisfied with his restoration work.

Key takeaways from this timber sale